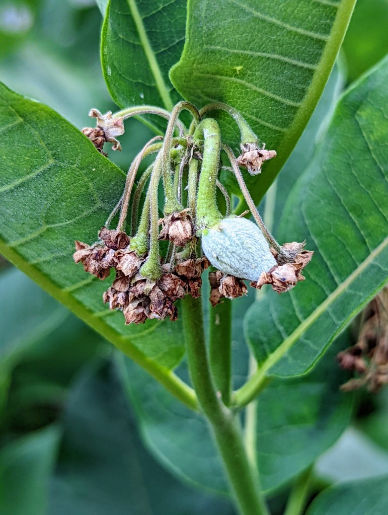
The milkweed flowers wither and give way to their plump, silk filled pods. Purple Coneflowers (Echinacea purpura) begin to open, attracting cheerful bees. The Indian Blankets (Gaillardia pulchella) continue to bloom – their red and gold petals contrast the tall green milkweed stalks.








Your milkweed beetles (and other bugs) are having a hot time. Pretty flowers in your hellstrip, and lovely images.
LikeLiked by 1 person
Beautiful photos from your hellstrip.
LikeLiked by 1 person
Thank you! 🌷🌻🦋
LikeLike
So glad you visited, Christine, so that I could follow you back to your wonderful blog! -cheers, Lynn
LikeLiked by 1 person
Thank you! I enjoy your blog as well. 😀
LikeLike
Hi Christine. Thanks for caring and transforming your curbside plot. If more of us did this with more of our yards, we could make a huge environmental impact.
LikeLiked by 1 person
Yes! Have you read “Nature’s Best Hope”? Doug Tallamy shows how we can help nature on an individual basis. 😀
LikeLiked by 1 person
No, I haven’t read it, but I might put it in my to read pile. Thanks.
LikeLike